APP下載
活動
爆料
圖輯
AI爆報
追蹤新聞
4
2026白沙屯媽祖進香
台灣彩券開獎直播中
三立iNEWS新聞台線上直播
LIVE三立+24小時直播
即時
白沙屯進香
美伊停火
新聞
熱門
政治
社會
娛樂
生活
新奇
健康
國際
兩岸
運動
財經
房產
旅遊
科技
汽車
遊戲
ESG
影音
總覽
政論
節目
熱搜
直播
iNEWS
專題
總覽
特企
專頁
大事件
彩券
專欄
民調
快訊
200萬台人腎壞了!「3護腎原則」:別碰湯
07:03
控高虹安男友!手寫「李貞秀」檢舉函曝光
07:03
宇宙人當專業奶爸 邊吃邊餵小孩超熟練
07:03
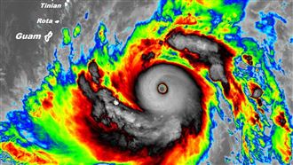
辛樂克35年來最強4月颱 恐怖衛星雲圖曝
06:57
鄭麗文糗了?美國會曬「川賴照」藏3意義
06:56
Andy宣布「進行大企劃」 誠心祈求1事
06:51
賈吉本季第4轟白搭 光芒橫掃洋基送5連敗
06:49
上班30天領3500獎勵金 請領手續曝
06:45
今高溫恐飆破36度 這天鋒面到轉雨時間曝
06:35
川普下令!美軍:今晚10時起封鎖伊朗港口
06:35
伸手救仍晚一步…6歲童找媽被車高速撞斃
06:32
58歲男愛吃「3物」腎快速惡化:燙青菜也中
06:22
川普鎖荷莫茲!專家憂:伊朗還握另張王牌
06:16
大谷連2戰首打席開轟 瞄準史上僅3人壯舉
06:13
川普封鎖荷莫茲海峽 台股盤前觀望氣氛濃
06:09
奪命惡火釀2消防員殉職…準新郎魂斷火場
06:09
中共惠台他酸:鳳梨、釋迦喊統一才能出關
05:51
首球棒打2屆賽揚 大谷連2天首打席就炸裂
05:51
5檔個股今起被限速 全部關到4月24日!
05:46
輝達台積都找他!這封測大廠股價年飆250%
05:46
台灣彩券開獎直播中
20:31
2026白沙屯媽祖進香
09:30
OPPO Find N6酷澎火熱預購中
10:00
打造三位一體模式 全球真愛努力擴展版圖
15:00
首頁
關鍵字
新王登基
新王登基
西班牙國王正式退位 新國王低調登基
西班牙在世足賽中鎩羽而歸,全國籠罩在愁雲慘霧中,而西...
2014/06/19 19:58
最新圖輯
更多
劉冠廷專訪
林予晞、王真琳專訪
李雪、陳昱廷專訪
初孟軒、鍾岳軒專訪
龍千玉與翁立友領豪記唱片群星拜年
Rain鄭智薰小巨蛋演唱會
金在中演唱會
羅志祥30周年演唱會
凱琳專訪
黃鐙輝、吳念軒、黃騰浩專訪
今日頭條
1
川普下令!美軍:今晚10時起封鎖伊朗港口
2
粉紅超跑起駕擠爆!網傳進香禁忌廟方發聲
3
中共惠台他酸:鳳梨、釋迦喊統一才能出關
4
辛樂克35年來最強4月颱 恐怖衛星雲圖曝
5
今高溫恐飆破36度 這天鋒面到轉雨時間曝
6
川普令封鎖荷莫茲踩紅線 伊朗發聲回擊了
7
中共惠台10利多?他見自由行驚:這先不要
8
全民旅遊補助上路!限量千元優惠領完為止
9
川普鎖荷莫茲!專家憂:伊朗還握另張王牌
10
余苑綺冥誕 余天悲赴墓園「一舉動惹淚」
HOT焦點
更多
桃園龍德宮四媽祖 首度南下高雄龍成宮
台東自然醒慢活祭開幕 百缽齊鳴揭序幕
一場辦桌!東其建設串起都更戶百分百信任
頻道推薦
直播✦活動
三立新聞網
為了提供更好的閱讀內容,我們使用相關網站技術來改善使用者體驗,也尊重用戶的隱私權,特別提出聲明。
了解最新隱私權聲明
知道了